CDU-Fraktion Ulm

CDU fordert Untersuchung von Alternativen im Projekt Sedelhöfe

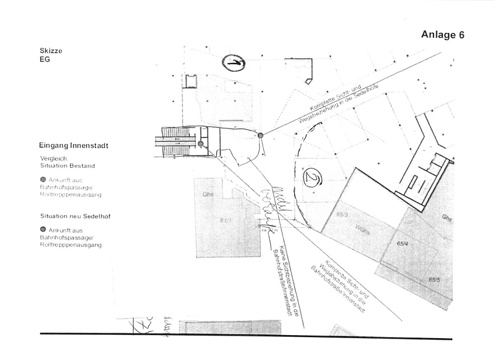
Skizze zum City Tor der CDUSkizze zum City Tor der CDU
Die CDU-Fraktion hatte bereits im Fachbereichsausschuss zum Aufstellungsbeschluss der Satzung über die Sedelhöfe darauf hingewirkt, dass keine endgültigen Festlegungen in der Satzung getroffen worden sind. Vielmehr hat die Verwaltung die Prüfung der diskutierten Alternativen zugesagt, deren Ergebnisse noch ausstehen.

Da wir der Meinung sind, dass dem Zugang zu den Sedelhöfen ebenso wie dem Eingang zur Bahnhofsstraße zentrale Bedeutung zukommen, wurde ein Antrag gestellt und um Untersuchung der nachfolgenden Punkte gebeten. Das Bild ist eine Skizze zur besseren Übersicht:

Hier geht's zum Antrag.

- Kein Verkauf des Kopfgrundstückes "City Tor " bei ggf. Einräumung von Überbaurechten

- Verschiebung des Kopfgrundstückes Richtung Bahnhofsgasse und Erweiterung des Platzes zwischen Kopfgrundstück und Brückenkopfgrundstück (1) ggf. Öffnung des Citytors durch Verschiebung der Bebauung nach Norden. (1)

- Simulationen der Besucherströme in dieser Alternative sowie Gutachtens Einholung.

- Öffnung und Abrundung des Kopfgrundstückes ovalförmig Richtung Bahnhofstraße (2)

- Erschließung und Andienung der oberen Bahnhofstraße

- Bündelung der Querung auf Ebene null (ÖPNV) und Ebene -1 durch gleichermaßen gute Anbindung, optionale Verbindung zwischen -1 und 0 durch Rampe statt Rolltreppe

- Erarbeitung eines Plan B im Wege der sog. „two step“ Lösung, Einschluss Bahnhofsplatz 7 ins Sanierungsgebiet. Diesbezüglich verweisen wir auf unseren Antrag vom Mai 2013 und bitten um Mitteilung ggf. bereits vorliegender Ergebnisse.

Wir haben die Verwaltung weiter gebeten, Verhandlungen mit dem Investor aufzunehmen, damit die oben dargestellten städtebaulichen Ziele einvernehmlich umgesetzt werden.

Nichts halten wir von der „Ruinenpolitik“ der GRÜNEN, die mit IHREM kategorischen Nein zu einem Satzungsbeschluss, der noch nicht einmal formuliert ist, die Sedelhöfe insgesamt in Frage stellen und  sehenden Auges in einen abgeräumten Hinterhof steuern. Ulm kann sich kein Ruinenfeld an den Sedelhöfen leisten. Alle Beteiligten müssen sich im Zeitplan um die bestmöglichste Umsetzung der vorliegenden Pläne bemühen.